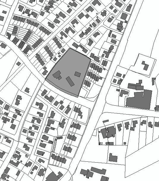
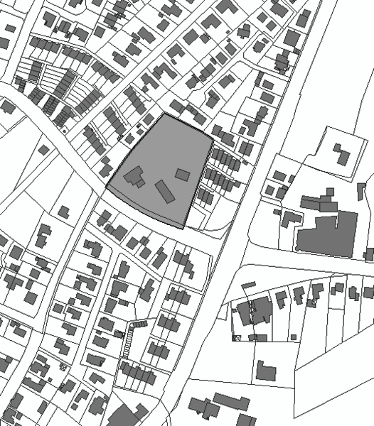
Bebauungsplan Nr. 136 "Wohnbaugebiet Jugendheim Falkenberg"

Rechtsverbindlich seit: 24.03.2018

Planzeichnung

Planzeichenerklärung

Textliche Festsetzung

Begründung

Gemeinde Lilienthal
Klosterstraße 16

28865 Lilienthal