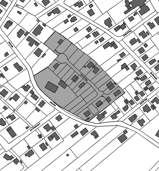
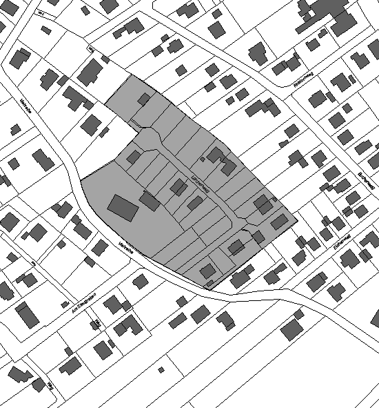
Rechtsverbindlich seit: 22.11.2000
Planzeichnung
Planzeichenerklärung
Textliche Festsetzung
Begründung
Gemeinde LilienthalKlosterstraße 16
28865 Lilienthal