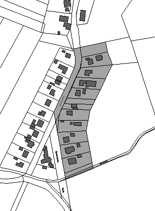
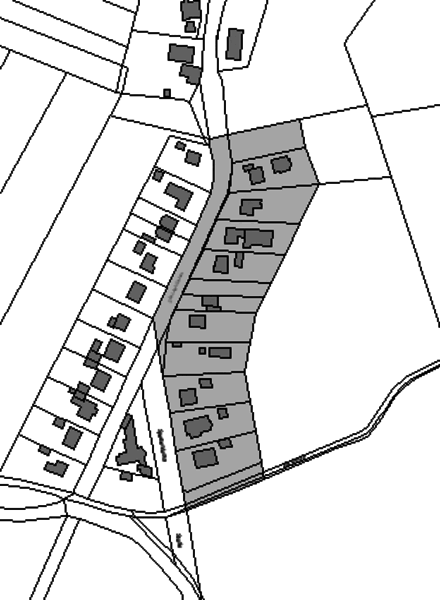
Bebauungsplan Nr. 1 "Speckendamm" der ehem. Gemeinde St. Jürgen

Rechstverbindlich seit: 24.05.1963

Planzeichnung

Planzeichenerklärung

Gemeinde Lilienthal
Klosterstraße 16

28865 Lilienthal